MandM header image 2

Category 5 Cyclone Yasi About to Land in Queensland – My Parents are in Port Douglas UPDATE 2

February 2nd, 2011 by Madeleine

Last night my mother contacted me to tell there was a cyclone warning in Port Douglas and she was doing the whole preparedness thing – checking food supplies, elevating important furniture and household documents and so on. At this time of the year in Port Douglas, where she and my stepfather live this is nothing new, they often have tropical storms off the coast and it is not the first time they’ve gone through this ritual – nothing major has ever happened…

Risk areas for Cylone YasiWell this warning was different. Last night my parents were evacuated from their home as Cyclone Yasi was expected to break land as a category 4 storm is heading their way at 1am Thursday morning local time.

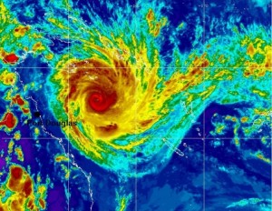
This morning news reports show Yasi has been upgraded to a category 5 on the Saffir–Simpson Hurricane Scale, “the warm sea is fuel for the cyclone and the waters off the Far Northern coast were the reason it was gathering pace as it approached.” It is now expected to break land as a category 5 – a very rare thing for a pacific cyclone. Due to its speeding up, it is now expected to hit 4 hours earlier at 10pm local time – in about 11 hours from now.

As one would expect the news headlines are not encouraging:

30,000 ordered to evacuate as Cairns prepares for Cyclone Yasi

THOUSANDS of people have been ordered to evacuate their homes in Machans Beach, Holloways Beach, Yorkeys Knob, Port Douglas, Bramston Beach and the CBD.

Residents must be out of their homes by 8am tomorrow and are advised to find shelter with friends or family. …

Premier Anna Bligh said severe cyclone Yasi … posed a “very serious threat.”

Monster Tropical Cyclone Yasi a very, very serious threat

TOWNS from Cooktown to Cardwell are on alert as the Far North makes final preparations today as one of the largest cyclones in Queensland’s history bears down on the coast.

Forecasting models predict the 500km-wide cyclone will intensify to category 4 strength with winds of up to 280km/h before crossing the coast between Innisfail and Yeppoon …

In terms of wind strength, Yasi had the potential to rival the devastating 2006 cyclone Larry, but it is of a far greater physical size. …

Local disaster management groups were briefed by Emergency Management Queensland bosses last night.

They were told the dangerous cyclone is exceptionally large.

“At the moment, there’s an extraordinary amount of planning for this event because it is unprecedented in scale,” police assistant commissioner Katarina Carroll said.

“The weather bureau has never seen anything like it before. The area it will take in is huge.”

Areas as far north as Cooktown are on the weather bureau’s watchlist, but cyclone Yasi is predicted to belt parts of the Far North about Innisfail and further south, where cyclone Larry struck in 2006.

Cyclone Yasi upgraded to Category 5 as it moves towards North Queensland coast

SEVERE Tropical Cyclone Yasi has been upgraded to Category Five and is likely to cross the coast earlier than expected at 10pm Wednesday evening, … just south of Cairns, in the latest update from the Bureau of Meterology.

By the time it crosses the coast, between 9pm tonight and 3am tomorrow, cyclone Yasi is expected to lash towns from Cooktown to Cardwell and on the Tableland with winds up to 280km/h and up to 1m of rain in some areas. …

Authorities hold grave concerns that cyclone Yasi could cross the coast  as early as 9pm tonight, about the same time as high tide.

It would mean destructive winds will push a 2.5m surge of water towards the coast, on top of the expected 2.38m tide, flooding low-lying suburbs.

Far Northern Region Assistant Commissioner Katarina Carroll said the storm surge was of particular concern.

“That’s when issues arise, that’s when you get fatalities,” she said.

Cyclone Yasi upgraded to Category 5 storm

Tropical Cyclone Yasi has now been upgraded to the most extreme storm warning category, category 5, with the Australian Bureau of Meteorology warning its impact is likely to be more life-threatening than any storm experienced in recent generations.

The Bureau warned the cyclone posed “an extremely serious threat to life and property”, especially between Port Douglas and Townsville. …

Cyclone Yasi is expected to generate winds of up to 280 kmh and bring heavy rain when it hits the northern coast of Queensland late today, matching the strength of Katrina, which devastated New Orleans in 2005. …

The Bureau of Meteorology earlier said the storm’s very destructive winds would pose a serious threat. …

With a strong monsoon feeding Yasi’s 650 km wide front, the storm was also expected to maintain its intensity long after smashing into the coast and could sweep inland as far as the outback mining city of Mt Isa, 900 km inland.

More than 400,000 people live in the cyclone’s expected path, which includes the cities of Cairns, Townsville and Mackay, which are also main tourist areas and take in Australia’s Great Barrier Reef.

Cyclone to bring ’24 hours of terror

Queenslanders have been told to prepare themselves for a terrifying 24 hours as the “most catastrophic storm ever” takes aim at heavily populated areas of the state’s north.

Severe Tropical Cyclone Yasi was upgraded to category five this morning as the weather bureau warned it was likely to be “more life-threatening” than any storm seen in Australia in living memory.

Tens of thousands of people are fleeing their homes ahead of the monster storm, which is expected to hit the coast between Cairns and Innisfail with winds of up to 295 kilometres per hour near the core. …

The weather bureau says Cyclone Yasi poses an “extremely serious threat” to life and property within the warning area, especially between Port Douglas and Townsville.

“This impact is likely to be more life-threatening than any experienced during recent generations,” the Bureau of Meteorology (BOM) said. …

Senior bureau forecaster Gordon Banks says it could take at least 24 hours for Cyclone Yasi to weaken after it crosses the coast.

“There’s still potential for it to become stronger … as a strong category five we could see wind gusts in excess of 320 kilometres an hour, which is just horrific.”

Cyclone Yasi in relation to Port Douglas

My parents are still in Port Douglas, they are on the highest ground they can get to, which should protect them from coastal flooding but it is not going to protect them from the other risks a category 5 cyclone brings. No one knows where precisely on the coast it is going to land – all I know is that my parents are within the path of its most likely expected route.

Please join us in praying for them, their neighbours and the people in Queensland who are all waiting out a tense 24 hours.

I would be very grateful if anyone can tell me who or what agency in New Zealand I should be talking to for news if I lose cell contact with my parents.

UPDATE:
The New Zealand government has now advised, at its Safe Travel website, that all New Zealanders throughout Australia – particularly those in the areas likely to be impacted by Cyclone Yasi – are advised to register their details with the Ministry of Foreign Affairs and Trade.

  • Kiwis in Australia should go here to register/update your location details with the NZ government.
  • Anyone in a risk area within Australia should, if you are changing location where you cannot be reached, contact the Evacuation Registration on 1300 993 191.
  • Kiwis within New Zealand who have relatives within Australia, take note of the Safe Travel phone number: (04) 439-8000 (24 hours).

Useful Sites:
Australian Bureau of Meteorology
Queensland’s Disaster Management Services
Emergency Management Queensland
Safe Travel
Twitter News Updates

UPDATE:
My parents are fine in Port Douglas this morning following Cyclone Yasi – I just spoke to them; they have power and phone this morning and they say, from looking out the window, that Port Douglas looks ok. It seems everyone else’s family in Queensland is ok too. Apparently (so far) there are no reports of Yasi casing injury or fatalities; its most destructive core seems to have avoided heavily populated areas and because it landed later than expected, on a falling tide as opposed to the high tide it was expected to land on,  the surge was lower than expected. There is still a small risk of flooding as the tide comes in this morning – in about 2 hours from now – so people need to stay high and stay indoors and wait for the official all clear for a few more hours. Overall it seems a narrow miss has occurred in Queensland.

Tags:   · · 2 Comments

2 responses so far ↓